U gebruikt een verouderde internetbrowser.
We raden u aan om de meest recente internetbrowser te installeren voor de beste weergave van deze website.
Een internetbrowser die up to date is, staat ook garant voor veilig surfen.

Helaas, dit pand is verkocht

9620 Zottegem

Omschrijving

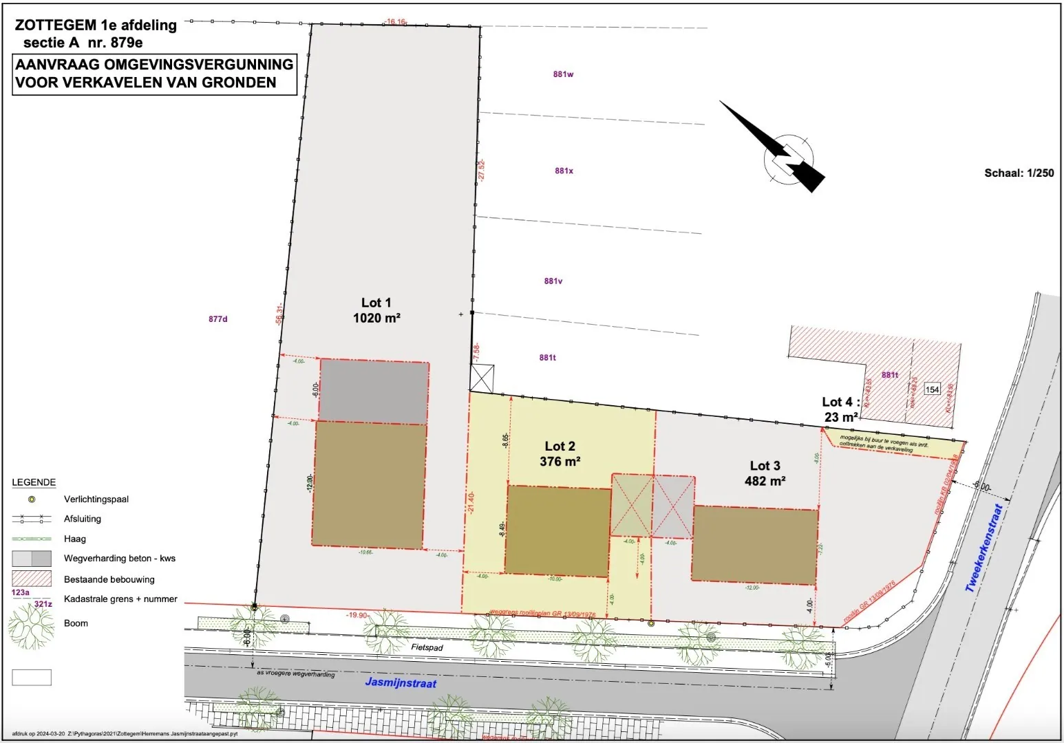
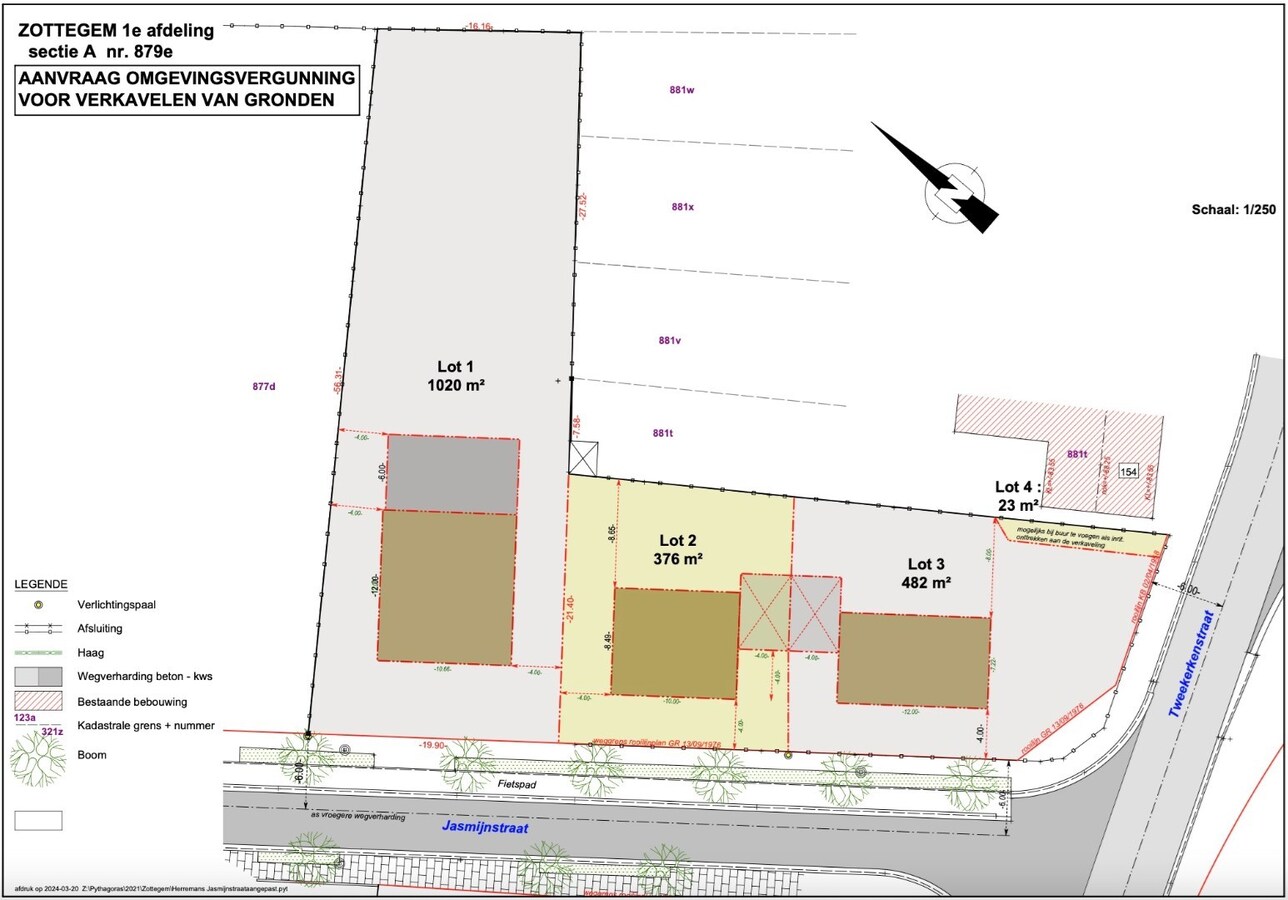
Villa bouwgrond van 1.021m² op uitstekende locatie

Dit mooi perceel bouwrijpe grond van het type open bebouwing geniet een zeer centrale ligging, aan de stadsrand van Zottegem en vlakbij de Langestraat en de N42.
In de onmiddellijke omgeving bevinden zich allerlei winkels (in Langestraat en Godveerdegemstraat), de sport- en ontspanningsfaciliteiten van de Bevegemse Vijvers, het ziekenhuis EZ Sint-Elisabeth, het station van Zottegem, ...
De grond heeft een totale oppervlakte van 1.021m² (lot 1 volgens P.V. van opmeting), een straatbreedte van 19,90m en een perceeldiepte van +/- 56m.
De bouwvoorschriften zijn zeer open en geven de koper m.a.w. veel vrijheid naar bouwstijl, type daken, nokhoogte, bijgebouwen, terrassen, ...
De belangrijkste bouwvoorschriften opgesomd:
- Bouwlijn minimaal 4m achter rooilijn
- Zijdelingse bouwvrije stroken van 4m
- Bouwbreedte beperkt tot maximaal +/- 10,66m
- Bouwdiepte gelijkvloers maximaal 18m en verdieping maximaal 12m
UNIEK PERCEEL BESTEMD VOOR VILLABOUW OP TOPLIGGING!!
De foto's en luchtbeelden zijn louter informatief en kunnen geen verhaal doen ontstaan, de exacte maten en oppervlaktes zijn op het verkavelingsplan te vinden.
Woongebied, geen vergunning, verkavelingsvergunning, geen voorkooprecht, geen rechtelijke herstelmaatregel of bestuurlijke maatregel opgelegd. P-score: B, G-score: A, geen risicozone voor overstromingen.
U kan de beschikbare attesten bij verkoop downloaden via de website janssens-leroy.be.


Niet gevonden wat u zoekt?

Schrijf u dan vrijblijvend in en blijf op de hoogte van ons meest recente aanbod.
Schrijf u in
Terug naar boven
Sluit menu Janssens & Leroy Makelaars BV